News Lighttopix

  • Healthy
  • Royal Family News
  • Life

Life

RF. BREAKING NEWS Just hours ago, a tremendous fire broke out in…

12 Tháng mười một, 2025 ZQKA ZQKA 0

Disclaimer: The information in this article is based on reports from publicly available sources. Details may evolve as further investigations and official statements are released. […]

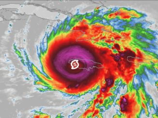
RF. BREAKING NEWS Large Hurricane MELISSA CATEGORY 5 forming…

10 Tháng mười một, 2025 ZQKA ZQKA 0

In late October 2025, Hurricane Melissa made history by striking Jamaica as a Category 5 hurricane, leaving a trail of destruction and setting new benchmarks […]

SB. BREAKING NEWS Large Hurricane MELISSA CATEGORY 5 forming…

10 Tháng mười một, 2025 ZQKA ZQKA 0

In late October 2025, Hurricane Melissa made history by striking Jamaica as a Category 5 hurricane, leaving a trail of destruction and setting new benchmarks […]

SB. Diagnosed with cancer at the age of 40, she still lived to 106 — her ‘secret’ was 1 vegetable that may prevent cancer and drinking 1 cheap beverage every day

29 Tháng 10, 2025 ZQKA ZQKA 0

Soong Mei-ling, better known as Madame Chiang Kai-shek, remains one of the most remarkable women of the 20th century. Known for her influence on Chinese […]

HT17. When Washing Clothes, Don’t Just Add Detergent — Try This Simple Trick to Keep Clothes Looking Like New

21 Tháng 10, 2025 ZQKA ZQKA 0

Many people notice that clothes washed in a washing machine tend to lose their quality over time. Fabrics become rougher, colors fade, and sometimes even […]

HT17. The Birthroom Held Its Breath as the Baby Came Into the World — Then the Mother Revealed a Secret

14 Tháng 10, 2025 ZQKA ZQKA 0

Born With a Smile: How Baby Ayla’s Rare Condition Inspired the World When Australian parents Cristina and Blaize Mucha welcomed their baby girl, Ayla Summer, […]

HT17. Sweden Turns Trash into Power — The Country That Recycles 99% of Its Waste

13 Tháng 10, 2025 ZQKA ZQKA 0

Sweden Turns Trash into Power — The Country That Recycles 99% of Its Waste While much of the world still battles overflowing landfills and plastic […]

HT17. The Barefoot Boy and the Spoon: A Glimpse Into the Dutch Hunger Winter of 1944–45

13 Tháng 10, 2025 ZQKA ZQKA 0

The Barefoot Boy and the Spoon: A Glimpse Into the Dutch Hunger Winter of 1944–45 In the haunting black-and-white photograph, a young Dutch boy stands […]

HT17. MARRIED IN SECRET! Fans are in shock as a top celebrity duo quietly escapes to Italy for a private wedding under the Tuscan sun

12 Tháng 10, 2025 ZQKA ZQKA 0

Disclaimer: This article is based on publicly available reports and media coverage. Specific details may evolve as more verified information becomes available. The focus is […]

HT17. A Father’s Choice in the Mud: The Vargas Disaster and a Moment That Echoes Through Time

12 Tháng 10, 2025 ZQKA ZQKA 0

A Father’s Choice in the Mud: The Vargas Disaster and a Moment That Echoes Through Time In December 1999, Venezuela experienced one of the most […]

Phân trang bài viết

1 2 … 9 »

New Post

  • SB. BREAKING NEWS: Nancy Guthrie, 84, mother of Savannah Guthrie, was found de*d, and her stepfather, Tommaso Cioni, has been arrested for her murder
  • RF. BREAKING: “Invisible no more”—Is Laura Lopes the hidden friction point in the House of Windsor?
  • RF. Prince Louis’s Playful Antics and Fatherly Affection: A Glimpse into Royal Family Life
  • RF. Queen Elizabeth had emotional final wish involving Prince Archie and Princess Lilibet granted before d:eath
  • RF. BREAKING NEWS: Prince William declares unofficial war on Queen Camilla after uncovering a digital plot to label 8-year-old Prince Louis as “unstable”

Bản quyền © 2026 | Theme WordPress viết bởi MH Themes